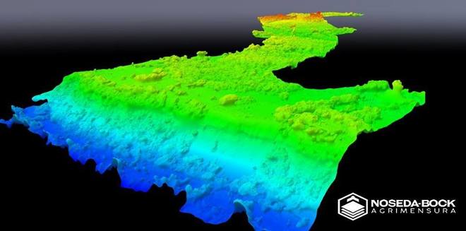
Contamos con un Drone Fotogramétrico, eBee RTK, que nos permite realizar relevamientos de grandes extensiones, y/o sobre zonas inaccesibles.
Aplicando esta alta tecnología a la resolución de problemas topográficos, se logra celeridad y precisión en la obtención de información.
Relevamiento que realizamos para el proyecto Circunvalación Sur Paraná:
https://www.youtube.com/watch?v=9fdgpr3suUY&t=2s
Area:
Farming
Livestock
Photo & Video
Social Events
Construction
Real Estate
Sports
Maps
Geology
Logistics
Security
Fire Control
Inspections
City Planning
Engineering
Pilots
Flight Training
Technical Service
Insurance
Courses
Surveying
Mapping
Video Edition
Fumigation
Archeology
SAR
Sales
Mining
Phone Number:
0342 4691083
email:
nosedabock@gmail.com
Web Site Address:
http://www.nosedabock.com.ar/
Model:
Spark
Mavic Air
Mavic Air 2
Air 2S
Air 3
Air 3S
Mavic Pro
Mavic 2 Pro
Mavic 2 Zoom
Mavic 2 Enterprise
Mavic Mini
Mini 2
Mini SE
Mini 3
Mini 3 Pro
Mini 4 Pro
Mini 5 Pro
Mavic 3
Mavic 3 Cine
Mavic 3 Enterprise
Mavic 3 Pro
Mavic 3M (Multiespectral)
DJI Mavic 4 Pro
Phantom 2
Phantom 3
Phantom 4
Phantom 4 Pro
Inspire
Inspire 2
Inspire 3
DJI FPV
Neo
Neo 2
Flip
DJI Avata
DJI Avata 2
DJI Avata 360
DJI Matrice
DJI M30
DJI Agras
Parrot Disco
SenseFly eBee
Insta360 Antigravity A1
Other
Type:
Fixed Wing
Rotary Wing
FPV
Camera Type:
RGB
NIR
Multispectral
Thermal
360
Pilot License:
Yes
In Process
